
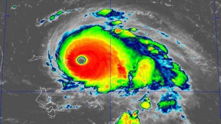
Oaxaca.-El Centro Nacional de Huracanes eleva a categoría cinco de “catastrófica”, la más alta en su escala, el huracán Dorian. Mientras el archipiélago de las Bahamas se prepara para recibir el huracán esta noche, el pronóstico para la costa de Florida ha mejorado. Los últimos pronósticos estiman que la tormenta virará hacia el noreste hacia Carolina del Norte, que puede recibir la tormenta en las próximas horas -aunque ya degradada a nivel 2 o 3-.
Alrededor de las 8 de la mañana (hora local) la tormenta, situada a unas 362 kilómetros de la costa de Florida y a unos 56 kilómetros de las Bahamas, registró vientos máximos sostenidos de 260 kilómetros por hora.
“Se espera un período prolongado de tormentas que amenacen la vida, vientos devastadores con fuerza de huracán y fuertes lluvias capaces de producir inundaciones repentinas que amenacen la vida en las Islas Abaco y Gran Bahama hasta el lunes”, dijo Richard Pasch, especialista senior en huracanes en El Centro Nacional de Huracanes.
Debido a su tamaño y a su cercanía, se emitió una advertencia de tormenta tropical desde Deerfield Beach hasta Sebastian Inlet, en Florida. “El pronóstico para Florida está mejorando, pero cae en picada para Carolina del Norte y del Sur”, dijo el sábado por la tarde el meteorólogo jefe de Jim Rouiller del Energy Weather Group en las afueras de Filadelfia.
Dorian, una de las cinco tormentas que se formaron en el Atlántico este año, amenazó las Islas Vírgenes de EE. UU.a principios de esta semana y está a punto de golpear a las Bahamas con una marejada ciclónica que podría alcanzar los 4,6 metros por encima de los niveles de mar y de 25 a 38 centímetros de lluvia.
Inicialmente se consideró que la tormenta, ahora en la parte superior de la escala Saffir-Simpson, apuntaba a la costa este de Florida, pero modelos posteriores predicen ahora que girará hacia el norte por la costa, posiblemente incluso llegando a tierra en el este de Carolina del Norte.
Miércoles o jueves, dijo Rouiller. “Hace un par de días nos preocupaba que se estancara sobre Florida y ahora parece que se detendrá sobre Bahamas”, dijo Steve Goldstein, el enlace de la Administración Nacional Oceánica y Atmosférica con FEMA.
Docenas de distritos escolares y universidades han anunciado que cerrarán al menos hasta el final del día martes. La oficina del gobernador también dijo que los peajes se levantarían en áreas relevantes para acelerar el tráfico si se ordenaran evacuaciones. Mientras tanto, la Patrulla de Carreteras de Florida está escoltando camiones de combustible para obtener suministros donde se necesitan.
Fuente: La Vanguardia
Te podría interesar...


Esta conversación es moderada acorde a las reglas de la comunidad “Ciudadanía Express” . Por favor lee las reglas antes de unirte a ella.
Para revisar las reglas da clic aquí