
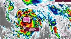
Oaxaca.-El ciclón tropical Erick se intensificó a huracán categoría 1 la mañana de este miércoles 18 de junio , según confirmó el Centro Nacional de Huracanes (NHC) y el Servicio Meteorológico Nacional (SMN) de México.
A las 6:00 horas, el centro del huracán Erick se localizaba a 255 kilómetros al sur-sureste de Puerto Ángel, Oaxaca, y a 440 kilómetros al sureste de Punta Maldonado, Guerrero.
Presenta vientos máximos sostenidos de 120 km/h, con rachas de hasta 140 km/h, desplazándose hacia el noroeste a 11 km/h.
Erick está generando lluvias torrenciales (150 a 250 mm) en Oaxaca, Guerrero y Chiapas, así como vientos de 100 a 120 km/h y rachas de hasta 150 km/h en las costas de Oaxaca y Chiapas.

Se esperan oleajes elevados de 4 a 6 metros en Oaxaca y Chiapas, y de 4 a 5 metros en Guerrero.
Hay zonas de prevención por efectos de huracán desde Acapulco, Guerrero, hasta Puerto Ángel, Oaxaca, y zonas de vigilancia y prevención por tormenta tropical en áreas adyacentes.
Las autoridades advierten sobre riesgos de deslaves, incremento en ríos y arroyos, desbordamientos e inundaciones en zonas bajas.
El NHC y el SMN alertan que las condiciones son favorables para que Erick se intensifique rápidamente, sin descartar que alcance la categoría de huracán mayor (categoría 3 o más) antes de tocar tierra, posiblemente este jueves.
Se exhorta a la población de las zonas afectadas a mantenerse informada y seguir las indicaciones de Protección Civil, ya que el huracán representa un riesgo significativo de inundaciones y daños por viento.
Te podría interesar...


Esta conversación es moderada acorde a las reglas de la comunidad “Ciudadanía Express” . Por favor lee las reglas antes de unirte a ella.
Para revisar las reglas da clic aquí