CONSEJO EDITORIAL
ÉTICA
QUÉ ES EL PERIODISMO DE PAZ
SOMOS
CONTACTO
SUSCRÍBETE
|
Oaxaca de Juárez
Viernes 06 de marzo, 2026.
ARTE
CULTURA
IGUALDAD
DERECHOS HUMANOS
ECONOMÍA
MEDIO AMBIENTE
POLÍTICA
INICIO
//
Medio ambiente
Ambiente cálido, nublados por la tarde y lluvias en Oaxaca
Hoy, la Tormenta Tropical “FERNAND” en el Golfo de México se aproximará a la costa central de Tamaulipas, pronosticándose q...
Mié. 04 de sep., 2019. | 09:04 am
Se degrada Dorian a categoría 4 en archipiélago de Bahamas
Los vientos del huracán Dorian se reducen a 250 km/h mientras permanece sobre el norte del archipiélago de Bahamas
Mar. 03 de sep., 2019. | 01:06 pm
Anuncian ambiente caluroso y lluvias en regiones de Oaxaca
Para este día, el ciclón tropical potencial No. 7 localizado frente a las costas de Tamaulipas y Veracruz, generará amplia zona...
Mar. 03 de sep., 2019. | 09:36 am
Presenta Semaedeso Programa de Ordenamiento Ecológico
El Porteo es una herramienta de planeación que maximiza el consenso entre los diferentes sectores para una mejor conservación de...
Lun. 02 de sep., 2019. | 06:00 pm
Planea México usar residuos orgánicos para producir combustibles
Bagazo de agave, lodos de purga y las vinazas que resultan de la producción de tequila podrían ser utilizadas para obtener el bi...
Lun. 02 de sep., 2019. | 02:02 pm
Huracán Dorian deja devastado islas de Bahamas
Autoridades informan de grandes daños en estructuras de las Islas Ábaco y rescatistas piden rezar
Lun. 02 de sep., 2019. | 08:36 am
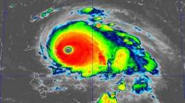
Huracán Dorian alcanza categoría 5 en Bahamas
El Centro Nacional de Huracanes eleva a categoría cinco de “catastrófica”, la más alta en su escala, el huracán Dorian. Mi...
Dom. 01 de sep., 2019. | 12:06 pm
Mónica Fernández,nueva presidenta de la Mesa Directiva del Senado
La senadora mexicana Mónica Fernández, del gobernante Movimiento Regeneración Nacional (Morena), fue elegida este sábado como ...
Sáb. 31 de ago., 2019. | 06:38 pm
Realizan el Sexto Tequio Ciudadano en la colonia Ejidal
Más de 150 personas acudieron al llamado de la autoridad municipal para limpiar espacios y zonas comunes.
Sáb. 31 de ago., 2019. | 06:01 pm
Seguirá ambiente cálido, nublados y lluvias en Oaxaca
Para hoy, una zona de baja presión con potencial ciclónico sobre la costa norte de la Península de Yucatán. Canales de baja pr...
Sáb. 31 de ago., 2019. | 08:37 am
Anterior
18
19
20
21
22
23
24
25
26
27
Siguiente
ÚLTIMAS NOTICIAS
01/01/2020
|
03:00 pm
|
admin
Celebra INAH 80 aniversario
01/01/2020
|
02:00 pm
|
admin
Insabi atenderá a pacientes con solo presentar el INE
01/01/2020
|
01:05 pm
|
admin
En México hubo 10 periodistas asesinados en 2019
01/01/2020
|
12:00 pm
|
admin
En México padece ojo seco más de la mitad de jóvenes
01/01/2020
|
11:00 am
|
admin
Acontragolpe fomenta los valores tradicionales de Oaxaca
01/01/2020
|
10:31 am
|
admin
Oaxaqueños entre los mas repatriados en 2019
Publicidad